










Lihat Semua
Tanah
Jual JL HAYAM WURUK
Rp 17 Juta/m2Rp 42,5 Miliar
TANAH IDEAL KOTAK 25 ARE DI LOKASI PREMIUM PINGGIR JALAN RAYA UTAMA HAYAM WURUK
Detail Properti
Transaksi
Jual
Kamar Tidur
-
Kamar Mandi
-
Luas Tanah
2500 m2
Tipe Properti
Tanah
Alamat
JL HAYAM WURUK
Lokasi
Bali, Denpasar, Sumerta Kelod
Listrik
-
Sertifikat
SHM
Hadap
-
Group
Secondary
Furnish
-
Per m2
Rp 17,000,000 m2
Terdaftar Pada
29 Agustus 2025
ID Listing
291625-BRSE00004
Keterangan
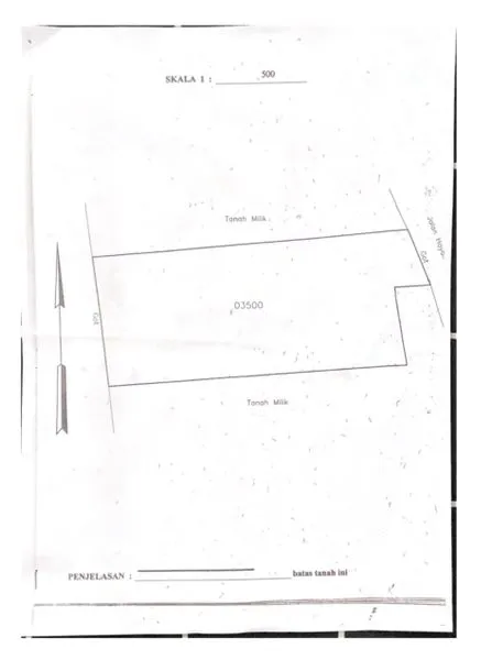
Tanah kotak persegi panjang di lokasi premium, pinggir jalan raya utama hayam wuruk, denpasar selatan.
Cocok untuk dibangun apartemen, Villa, Resto, hotel, perkantoran, ruko, dll
Sangat strategis di perbatasan dan pusat keramaian antara renon dengan sanur.
Tanah berada pada Zona Budidaya, Zona perdagangan dan Jasa skala SWP (K3)
2 menit ke plasa renon
5 menit ke bunderan renon
10 menit ke sanur
Luas tanah 25 are
Dimensi 32x78
Harga 1,7 M / are
Serius....,,,? Bisa Nego
Cocok untuk dibangun apartemen, Villa, Resto, hotel, perkantoran, ruko, dll
Sangat strategis di perbatasan dan pusat keramaian antara renon dengan sanur.
Tanah berada pada Zona Budidaya, Zona perdagangan dan Jasa skala SWP (K3)
2 menit ke plasa renon
5 menit ke bunderan renon
10 menit ke sanur
Luas tanah 25 are
Dimensi 32x78
Harga 1,7 M / are
Serius....,,,? Bisa Nego
Simulasi Cicilan KPR
Harga Properti (Rp)
Rp 42,5 M
Uang Muka (Rp)
Jangka Waktu
Suku Bunga
Jumlah Angsuran
Rp 268.869.833 per bulan
Dengan klik tombol kontak, Pengguna setuju dengan Syarat Pengguna dan Kebijakan Privasi



